47580 Lea Baird Lane $380,000

MLS#: 386483
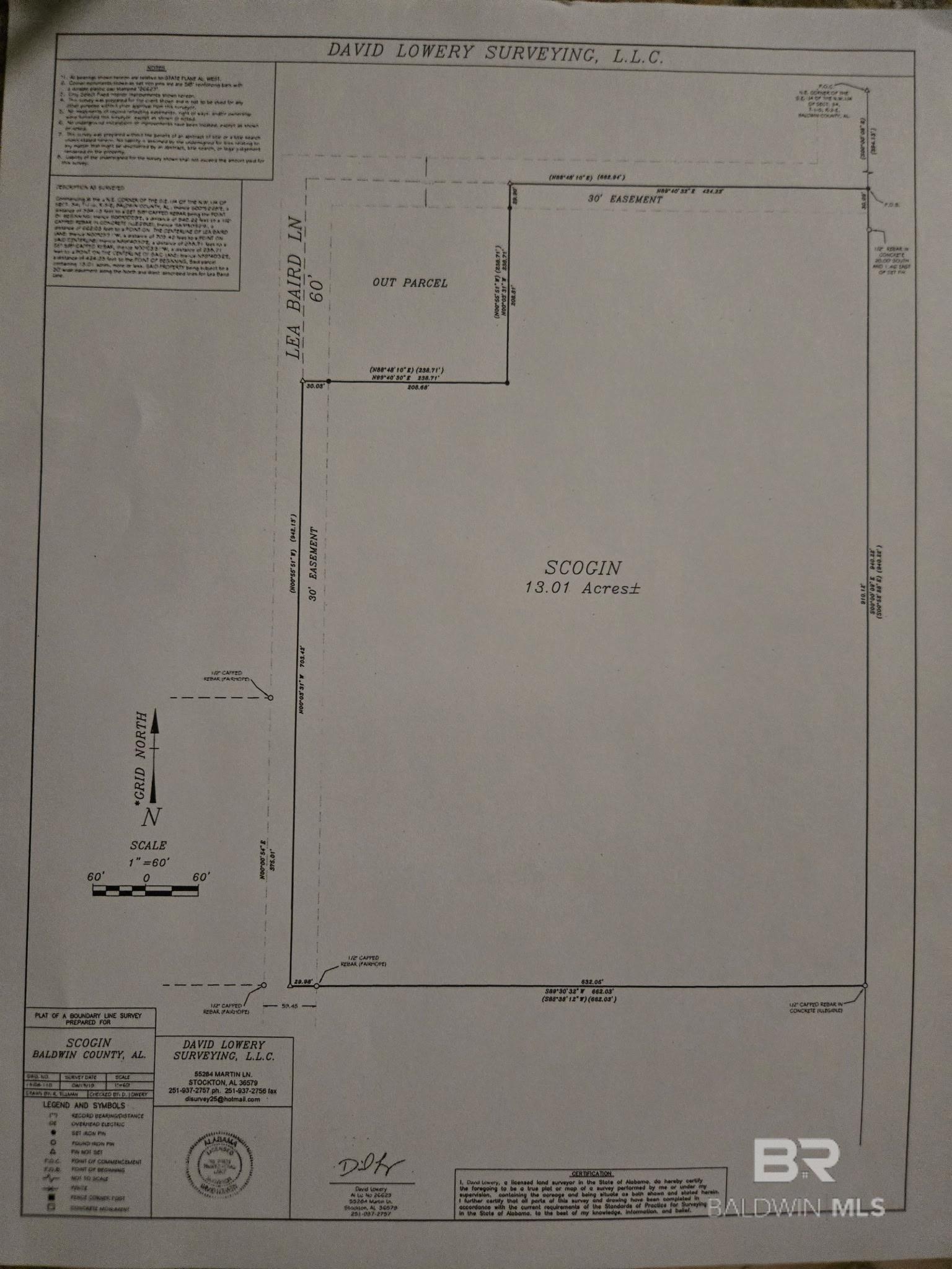
Address: 47580 Lea Baird Lane
City / Zip: Bay Minette, AL 36507
Type: Land

12.607

Lot Size

Lot Description

Bay Minette

City

Overview

Click the main image above for larger images

Grab this beautiful 13.01-acre parcel before it’s gone! This partially cleared and site-ready property offers the perfect blend of open space and natural privacy. With city water, underground power, and an RV hookup already in place, much of the prep work has been done—just bring your plans! The property features multiple new structures, including a 30x40 building (power and water) with two 12x12 roll-up doors and a 12x30 lean-to carport, plus a 30x40 barn with two 8x8 roll-up doors. An additional 18x32 white building includes two 10x12 roll-up doors, heated and cooled with a wood-burning stove, power and water—ideal for a workshop or hobby space. A 12x16 storage building provides even more room for tools, equipment, or recreational gear. Both of the new black 30x40 buildings meet 140 mph wind load. This unrestricted property offers endless potential—build your dream home, start a small farm, or create the ultimate private getaway. The potential home site has underground power and water in place. Buyer to verify all information during due diligence. Survey attached in MLS. Show anytime!

This listing is provided courtesy of Delta Realty LLC

Map

Map may not be 100% accurate.

Amenities

    Property Amenities

    • Utilities

      • Underground Utilities
      • North Baldwin Utilities
    • Exterior Features

      • Underground Utilities
      • North Baldwin Utilities
      • Water-City
      • Total Electric
      • Baldwin EMC
      • RV Hookup
    • Exterior Structures

      • Barn(s)

Want To Know More About This Listing?

Leave this field empty

Fill out the form below to get more information.

*
*
*
*
*

Additional Information

South Baldwin Chamber
affiliate
affiliate
affiliate
affiliate
Chat with us